Bezirksregierung
Münster

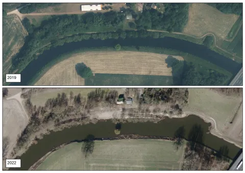
Umgestaltung des Uferbereichs der Ems am Angelsportverein in Greven

Überblick über die neu geschaffene Sekundäraue mit den zwei Buhnen ein Jahr nach Ende der Bauarbeiten.

Umgestaltung des Uferbereichs der Ems am Angelsportverein in Greven

Die Bezirksregierung Münster hat die Ems, auf vom Angelsportverein Greven 1933 e.V. zur Verfügung gestellten Flächen, umgestaltet. Auf einem Teil der Wiese wurde das Gelände zur Herstellung einer Sekundäraue abgesenkt, die bereits bei mittleren Wasserständen von der Ems überflutet wird. Im Bereich des vormaligen Uferweges wurde eine Randsenke modelliert. 

Der vorhandene Weg wurde dafür weiter nach Norden verlegt, bevor er in Höhe der städtischen Regenwassereinleitung wieder an den bestehenden Weg anschließt. 

Am rechten Ufer wurden zusätzlich noch zwei Buhnen in die Ems eingebaut welche als Strömungslenker am gegenüberliegenden, linken Ufer weitere Uferabbrüche initiieren sollen. Hier wurde bereits vorher die Uferbefestigung entfernt, so dass sich die Ems am linken Ufer eigendynamisch entwickeln kann. Dass dies funktioniert, hat das Februarhochwasser 2021 gezeigt. Die Veränderung des Ufers im Bereich der Buhne ist auf dem Foto von 2021 im Vergleich zum Foto von 2020 gut zu erkennen. 

Luftbildaufnahme des Bereiches am Angelsportverein vor Beginn der Baumaßnahmen im Jahr 2019 und nach Abschluss im Jahr.